J+127/133 … Plongées à Koh Tao

Cet article sera léger en détails car je voulais initialement passer 2 jours sur Koh Tao pour descendre ensuite à la découverte de Koh Phagam … Sauf que je suis tombée sur une activité bénéfique pour mon esprit (l’eau est magique) ainsi qu’une joyeuse équipe de moniteurs de plongée qui m’ont inspirés pour une semaine complète sur l’île !

Pour la petite anecdote, tout de même, je tiens à préciser que je fus furieuse en arrivant au port après les 9h de bus de nuit. Pour commencer, après un départ à 19h au lieu de 18h, on nous réveille brutalement à 3h du matin pour nous dire qu’on change de bus … ok passe encore, sauf qu’il n’y a pas de chauffeur… le petit groupe que nous sommes allons attendre plus de 30min au bord de la route, sagement assis à côté du bus … ok passe encore … et une fois arrivée au port, une des filles du groupe vient nous voir en catastrophe car son sac a été fouillé… je me dis que le mien étant trop complexe et condensé, les voleurs sont passés à côté ! Et non ! Ces enfoirés ont fouillé l’intégralité des sacs de la soute, le conducteur est forcément dans le coup … DONC ATTENTION A NE RIEN LAISSER DE VALEURS DANS UN BUS DE NUIT !

Bref, retournons à Koh Tao… Une belle petite île paradisiaque dont je ne verrais qu’un tout petit bout car coincée par mon manque d’expérience et ma peur du scoot … tant pis, je prends l’option plongée car 50euros pour deux plongées sur une matinée, et bien j’ai de quoi remplir mon carnet !

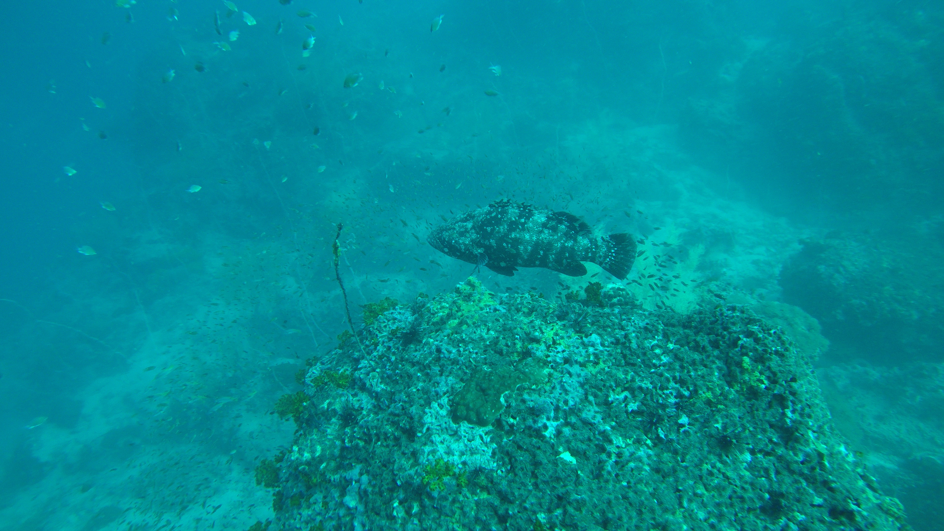
Jour 1 – L’épave de SATAKHUT et White Rock

1 – 43 min / 24,6m / 27°

2 – 44min / 17,3m / 29°

Ce diaporama nécessite JavaScript.

Jour 2 – SouthWest Pinnacle et Shark Island

1 – 45min / 25m / 27°

2 – 49min / 16,2m / 27°

Jour 3 – Sail Rock

1 – 45min / 28m / 28°

2 – 46min / 27m / 28°

Jour 4 – Repos pour le corps et petit snorkeling à Shark Bay qui porte bien son nom ! Un petit, tout petit bébé requin pour moi mais la photo est complètement ratée !

Jour 5 – Sail Rock de nouveau parce que c’est pas mal !

1 – 45min / 29,4m / 28°

2 – 50min / 24,7m / 28

Ce diaporama nécessite JavaScript.

Jour 6 – Chumpong et Twins Rock.

1 – Je ne parlerais pas de cette plongée car suite à un souci d’oreille d’un des copains et le fait que nous devions attendre la monitrice dans l’eau, avec une petite houle … et bien les deux personnes un peu plus agées de niveau 3 et 4 ne trouvant rien de mieux que d’attendre à 5m sous l’eau, les voilà sans air pour débuter la plongée ! Merci à eux et à leur incompétence pour avoir tuer cette plongée !

2 – 51min / 17,8m / 28°

Le jour 7 ne pourra malheureusement pas se faire suite à une tourista fulgurante qui me tuera la nuit et la matinée suivante … déçue de ne pouvoir faire un dernier tour dans les fonds Thaïlandais …

Je ne peux qu’adresser mes remerciements à French Kiss Diver pour le professionnalisme de l’équipe et la superbe ambiance ! Le matériel, entièrement neuf, est un plus non négligeable ! Une grosse pensée pour une belle rencontre, Anais mais aussi Philippe et tous les autres !

Me revoilà sur la route, mais en train ce coup-ci pour un passage exprès sur Bangkok !!

Laisser un commentaire